7
$240,000 Sale
Listed 3 hours ago
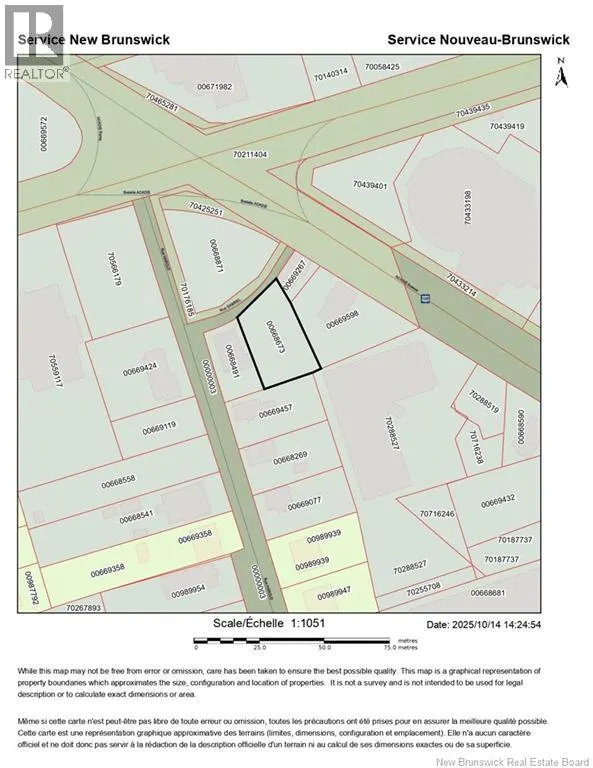
164 Gabriel Street
· 0
· 0.0
· 0
· -
Key Facts
Key facts for 164 Gabriel Street
Property Type
Lots/Land
Parking
Garage: No, 0 parking
MLS #
NB128494
Size
-
Basement
-
Listed on
-
Lot size
-
Tax
-
Days on Market
-
Year Built
-
Maintenance Fee
-
Description
Strategically located in the heart of Dieppe, this vacant lot offers outstanding visibility and exposure in one of the citys most dynamic and high-traffic areas. With immense potential for future development, this property is perfectly positioned to meet the needs of investors, developers, or busine...ss owners seeking a foothold in a thriving, high-growth community.The lots central location provides unmatched convenience, situated just minutes from the Greater Moncton International Airport, major shopping destinations, schools, and well-established residential neighborhoods. This rare combination of accessibility and visibility makes it a versatile site suitable for a wide range of commercial or mixed-use development possibilities. Whether you're looking to expand your real estate portfolio, launch a new business venture, or pursue a long-term development project, this premier lot in Central Dieppe offers the ideal canvas for your vision. Call today for more details. (id:10452)
Similar Properties (No results)
Listing courtesy of: EXIT Realty Associates
This REALTOR.ca listing content is owned and licensed by REALTOR® members of The Canadian Real Estate Association.